Zagreb – prodaja građevinskog zemljišta 1.438 m² na Vrhovcu. Projekt za 9 stanova s lokacijskim dozvolama, infrastruktura i odlična pozicija.
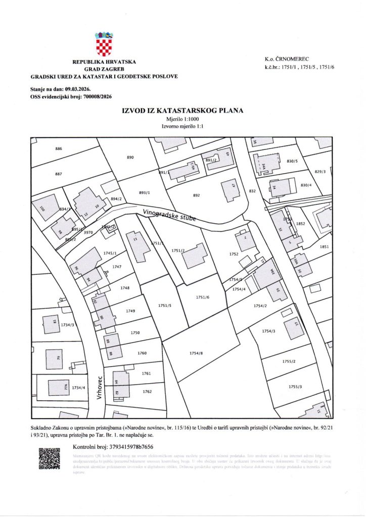
U Zagrebu, na atraktivnoj lokaciji Vrhovec – Vinogradi, u tijeku je prodaja građevinskog zemljišta površine 1.438 m² s već ishođenim lokacijskim dozvolama za projekt od 9 stanova. Ova investicijska prilika omogućuje brz početak gradnje uz definiranu dokumentaciju i jasan projektni potencijal. Zahvaljujući povoljnom omjeru cijene i BRP-a, zemljište predstavlja konkurentnu opciju na zapadnom dijelu grada.
Kupci često traže građevinsko zemljište od oko 1.400 m² na području Vrhovec–Vinogradi, a ova parcela od 1.438 m² idealno odgovara tom kriteriju.
Osnovne informacije:
Lokacija: Zagreb, Vrhovec – Vinogradi
Površina: 1.438 m²
Tip zemljišta: građevinsko
Namjena: stambena
Pristupni put: asfalt, širina 5,5 m
Infrastruktura: struja, voda, plin, kanalizacija, optika
Vlasništvo: uredno
Tereti: nema
BRP: 1.068,43 m²
Kapacitet: 9 stanova + 18 parkirnih mjesta
Cijena: 850.000 €
Cijena po BRP m²: cca 795 €/m²
Koliko košta zemljište u Zagrebu?
Cijene građevinskih parcela na potezu Vrhovec – Vinogradi kreću se okvirno od 600 do 1.200 €/m² BRP-a, ovisno o dokumentaciji i lokaciji. Ova parcela s već spremnim projektom i lokacijskim dozvolama ulazi u tržišni raspon, ali uz veliku prednost – mogućnost brze realizacije investicije.
🟢 DETALJAN OPIS
▪ Investicijski potencijal i dokumentacija
Radi se o izuzetno rijetkoj prilici na tržištu – zemljište dolazi s dvije pravomoćne lokacijske dozvole iz 2026. godine, izrađenim geotehničkim elaboratom i definiranim projektom za 9 stambenih jedinica. Investitor može odmah nastaviti s izradom glavnog projekta i ubrzati početak gradnje.
▪ Urbanističke prednosti
Projekt je izrađen prema ranijim urbanim pravilima (2.3), što omogućuje veći obujam gradnje u odnosu na današnja ograničenja. Upravo to daje značajnu tržišnu prednost jer povećava isplativost projekta.
▪ Položaj i konfiguracija
Parcela je smještena na južnoj strani, što osigurava odličnu osunčanost tijekom dana. Okružena je zelenim pojasom, a objekti su planirani uvučeno od ulice, čime se dobiva visoka razina privatnosti.
▪ Pristup i infrastruktura
Pristup je omogućen asfaltiranom prometnicom širine 5,5 m, što zadovoljava sve uvjete za gradnju. Sva komunalna infrastruktura nalazi se uz parcelu – uključujući optiku, što je danas važan prodajni faktor.
▪ Okruženje i sadržaji
Lokacija nudi kombinaciju mira i blizine centra – udaljenost od Ilice i Trga dr. Franje Tuđmana iznosi oko 1,3 km. U neposrednoj blizini nalaze se vrtići, bolnica KBC Sestre milosrdnice i javni prijevoz.
▪ Dodatne prednosti projekta
Projekt uključuje i dva privatna vrta za stanove u prizemlju, što predstavlja dodatni prodajni argument kod krajnjih kupaca stanova.
U Zagrebu je posljednjih godina vidljiv snažan rast interesa za investicijske projekte, posebno u zonama poput Vrhovca i Vinograda. Ove lokacije nude odličan balans između privatnosti, prirodnog okruženja i blizine centra grada, što ih čini atraktivnima za razvoj manjih stambenih projekata.
🟢 UVJETI
✔ Uredno vlasništvo
✔ Bez tereta
✔ Lokacijske dozvole spremne
✔ Mogućnost brze realizacije
✔ Investicijski projekt spreman za razvoj
Je li zemljište građevinsko?
Da, riječ je o građevinskoj parceli sa stambenom namjenom.
Postoji li projekt?
Da, projekt za 9 stanova s lokacijskim dozvolama.
Može li se odmah graditi?
Sljedeći korak je glavni projekt, nakon čega kreće gradnja.
Jesu li priključci dostupni?
Da, sva infrastruktura je uz parcelu.
Parcele s već ishođenim dozvolama u Zagrebu rijetko su dostupne na tržištu, posebno na lokacijama poput Vrhovec–Vinogradi.
📞 +385 95 527 5032
📍 Zagreb – Vrhovec























